Home
Over Ons
Diensten
Projecten
Contact
Selecteer Pagina
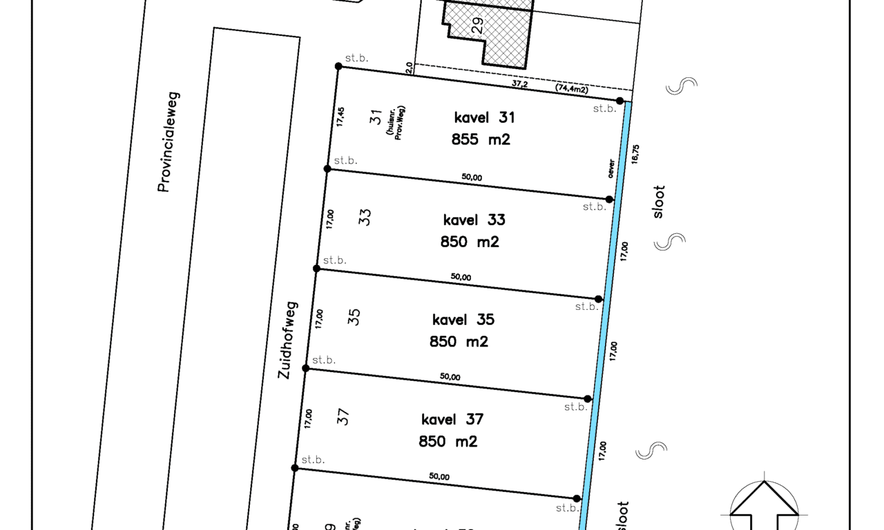
Woningenhof Hazerswoude-dorp
door
Interforce
|
nov 25, 2020
|
0
Woningenhof Hazerswoude-dorp
Categorieën:
In ontwikkeling of uitvoering
Vaardigheden:
Bekijk het project